La importancia de la simulación y modelación en la actualidad
Dénilson Eduardo Argueta Higueros
Estudiante de Ingeniería en Ciencias y Sistemas - USAC
Palabras Clave:
Simulación, Modelación, procesos, transporte.
La modelación y simulación es algo realmente importante ya que nos permite experimentar y visualizar cómo se comporta un sistema y en qué área se pueden realizar mejoras en el funcionamiento del sistema basándonos en resultados obtenidos en la simulación [1]. Antes de empezar cualquier tipo de proyecto se debe de entender bien como es que funciona el sistema y cuáles son las variables involucradas para poder modelar el sistema y que sea muy parecido al sistema en la realidad. La manera más sencilla de que podamos determinar que el modelo sea válido es determinar que las salidas del modelo están muy cerca de la realidad del sistema.
La modelación y simulación puede ser aplicada en diversos campos como la industria, entrenamiento militar, elaboración de automotores, supermercados, proyectos de reducción de costos[2], etc. Uno de los ejemplos más sencillos para entender cómo funciona la modelación y simulación es imaginarse el funcionamiento de un banco. Cada día llegan a los bancos un número de personas, pero no se puede saber con exactitud la cantidad de personas que llegarán a un banco en un día X, pero basándose en información histórica se puede determinar con algún tipo de probabilidad la cantidad de personas que pueden llegar y los inérvalos de tiempo en donde llegará más gente. Por ejemplo, se sabe que finales de mes y en quincena es cuando más gente acude al banco ya que son los días de pago y por lo regular la gente acude al banco después de las 4:00 pm ya que a esa hora comienzan a salir de su trabajo.
Basándonos en esta información histórica y determinando como es el sistema, se puede realizar un tipo de animación en algún programa, para poder determinar con la llegada de estas personas cuántos servidores(empleados) se necesitan en ciertos días y horas para que cuando llegue la gente no se sature en banco y así la gente no tengan molestias ni se produzca alguna pérdida para el banco. Al momento de que una persona espera mucho tiempo es una pérdida tanto para el cliente como para la empresa ya que el cliente estará perdiendo tiempo y eso le ocasionara una molestia ya que es pérdida de tiempo. Y bien se sabe que un cliente molesto es una pérdida para las empresas ya que puede significar la pérdida del cliente o que cuente su mala experiencia a otros clientes potenciales de la empresa.
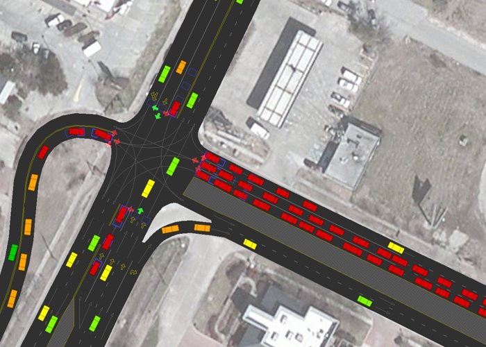
Otro ejemplo de simulación y modelación sería el planeamiento y modelación de tráfico. Este tema es muy importante ya que actualmente el problema que se presenta en el tráfico en la ciudad de Guatemala a las horas pico afecta a todos las personas que transitan en las vías congestionadas. Y es por la mala planeación que se ha tenido desde un principio en la construcción de las principales vías en la ciudad y en todo el territorio guatemalteco. Y es que las autoridades realizan construcciones como puentes, pasos a desnivel, etc. hasta el momento que se dan cuenta que se están generando problemas de tránsito.
Lo ideal sería presentar una simulación del tráfico en horas pico en el sector y posterior a esto un análisis para ver si es necesario la construcción de algún tipo de estructura que ayude con el tránsito, luego determinar en cuánto tiempo sería adecuado la construcción y por último el impacto que tendrá la construcción en el sector. Un ejemplo en Guatemala es el departamento de Sacatepéquez, específicamente en San Lucas. En ese sector se encuentra por lo regular muy congestionado ya que hay un cruce en donde paran el tráfico por un par de minutos una vía muy circulada y si no paran el tráfico es prácticamente imposible poder cruzar en ese sector. Y ahora que se quiere realizar una construcción en ese sector será algo que afectará aún más el tránsito en ese lugar.
Para este y muchos casos más sería de gran ayuda la simulación ya que nos permitiría conocer más las zonas más circuladas en el país y si en base a los resultados obtenidos tomar decisiones para la construcción de algún tipo de estructura para mejorar el tráfico, algún semáforo, o en los sectores que existan semáforos cuanto tiempo debería de dar a cada vía para que el tráfico sea más fluido en las principales arterias del país.
Existe programas especializados para la simulación de planeamiento y modelación de tráfico. Es común que estos programas permitan realizar simulaciones en 2 dimensiones y 3 dimensiones, esto para que sea más fácil para el usuario entender el modelo y que pueda verificar sí está funcionando adecuadamente el modelo. Este tipo de programas son bien completos ya que es posible simular semáforos, cruces, señales de tránsito, carriles, transporte público, etc.
Existen muchas herramientas hoy en día que cada vez nos hacen la vida más fácil y nos ayudan a la toma de decisiones. ¿Seguirá cambiando la modelación y simulación la forma que miramos al mundo?
Conclusiones
Es de suma importancia conocer la modelación y simulación para entender un sistema y tomar decisiones con los resultados de este.
Existen diversos programas y cada uno esta especializado en un área por ejemplo modelación de tráfico, transporte, industrias, etc.
Es posible realizar un ambiente sintético por medio de un programa para simular una situación de la vida real.
Es posible predecir el comportamiento en el futuro de un sistema mediante la simulación.
Referencias
[1] Desconocido. Caliper: TransModeler Introducción. Recuperado de: https://bit.ly/2Wz1jL5. [Último acceso: 29 de octubre de 2019].
[2] Soto, J. (30 de abril 2012). Iisdiur: Simulación y Modelación. Recuperado de: https://bit.ly/2J4BtGZ. [Último acceso: 29 octubre 2019].
[3] Desconocido. (21 de marzo 2017). Two Reality: La simulación virtual como método de formación de personal. Recuperado de: https://bit.ly/3akbuHP. [Último acceso: 29 octubre 2019].





